KRZYSZTOF TURZAŃSKI
SŁAWA UMIŃSKA-KAJDAN

Krzysztof Turzański Sława Umińska-Duraj

2021-11-10

Działki pod budowę domu! Przetarg 14 grudnia!

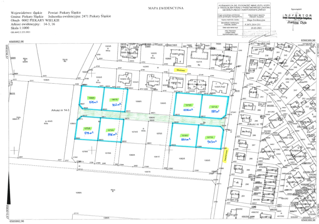
Mamy 8 działek budowlanych na sprzedaż w rejonie ulic Miodowej i Kasztanowej w Piekarach Śląskich. Każda z nich ok. 900 metrów kwadratowych, cena wywoławcza od 160 – 190 tysięcy złotych. Działki o regularnych, prostokątnych kształtach. Tereny te w planie zagospodarowania przestrzennego ujęte są jako zabudowa jednorodzinna.

Przetarg odbędzie się w dniu 14 grudnia 2021 r. o godz. 10.00
w Sali Widowiskowej Miejskiego Domu Kultury w Piekarach Śląskich przy ulicy Bytomskiej 73

UWAGA!

Wadium w wysokości ustalonej dla każdej z działek należy wnosić w pieniądzu przelewem na konto:
PKO Bank Polski SA, numer konta bankowego: 05 1020 2313 0000 3402 0556 3525
w nieprzekraczalnym terminie do dnia 8 grudnia 2021 r.

Zobacz szczegóły ogłoszenia – sprzedaż działek

Działki usytuowane są w rejonie ulicy Kasztanowej i Miodowej, w kompleksie osiemnastu niezabudowanych działek gruntowych z których sześć stanowi własność osób fizycznych. Kompleks działek od północy graniczy z zabudową mieszkaniową jednorodzinną ulicy Miodowej, od strony wschodniej usytuowana jest ulica Kasztanowa, od południa oraz zachodu tereny niezabudowane, w dalszej odległości tereny zabudowy mieszkaniowej jednorodzinnej i szeregowej, droga wojewódzka nr 911, tereny użytkowane rolniczo oraz obszar Katowickiej Specjalnej Strefy Ekonomicznej w Piekarach Śląskich wraz z halą magazynową.

Działki o regularnym, czworobocznym kształcie, porośnięte zielenią nieurządzoną (drzewa, krzewy, samosiejki), ukształtowanie terenu działek nie wykazuje znacznych różnic wysokości, niemniej cały obszar posiada regularny spadek w kierunku południowym jak również obszar kompleksu działek jest nieznacznie obniżony w stosunku do ulicy Kasztanowej. Ewentualna likwidacja poszczególnych elementów zieleni, np. drzew czy krzewów, w związku z realizacją inwestycji może nastąpić na koszt inwestora, po uzyskaniu prawem przewidzianych pozwoleń.

Działki usytuowane są wzdłuż działki nr 1085/5, po której docelowo ma się odbywać ich skomunikowanie z drogą publiczną ulicą Kasztanową. Ponadto przewiduje się możliwość połączenia z ulicą Miodową oraz ulicą Jana Lortza poprzez wydzielony układ działek po zachodniej stronie kompleksu osiemnastu działek.

Serdecznie polecam – warto zamieszkać w Piekarach Śląskich.

Zapraszam do udziału w przetargu.

 

Zobacz szczegóły ogłoszenia – sprzedaż działek

 

← Powrót

Komentarze



Uwaga! Dyskusja jest moderowana raz dziennie (zwykle rano) - komentarze nie pojawiają się od razu w momencie publikacji. Komentarze nie związane z tematem posta, obraźliwe, wulgarne nie są publikowane. Jeśli nie widzisz swojego komentarza sprawdź MOJE ZASADY i REGULAMIN

0 0 votes
Article Rating
Subscribe
Powiadom o
guest
13 komentarzy
Newest
Oldest Most Voted
Inline Feedbacks
View all comments
Siano
Siano
4 lat temu

Cena zabójcza… nie dla zwykłego śmiertelnika. Szkoda, że poszliście rynkowo, bonifikaty dałyby większą szansę na przyciągnięcie nowych mieszkańców.

Budweiser
Budweiser
4 lat temu

Panie Prezydencie Duda Śląska by przyciagnać nowych mieszkańców wystawiała działki na przetarg. Jeżeli ktoś się wybudował do 3 lat działka została zbywania w cenie 15 procent wylicytowanej ceny. Na jakiej zasadzie mogło się to odbyć i odbywa się w dalszym ciągu?

synek z gorki.
synek z gorki.
4 lat temu

Panie Krzysztofie, fajnie dla władz, że sie Piekary rozbudowują, dodatkowe dochody, ale czy zastanowił się pan co zrobiono przez ostatnie lata dla fragmentu Piekar chyba najaktywniejszego w budowie w “prostokącie” uproszczając od Bytomskiej do obwodnicy i od Jana Pawła (za dworem) do Pod lipami. Powstały tu setki nowych mieszkań, domów, powstały nowe ulice z nazwy ( tylko utwardzone) praktycznie na każdej ulicy w tym rejonie coś się w wolnych miejscach buduje. Poruszę tylko jeden temat drogi, bo ci ludzie (grube setki) to też kolejne samochody a wyjazd już od lat na obwodnicę to dramat a będzie dotyczył najbardziej własnie tych nowych działek. Obiecał pan w 2018r rondo Pod lipami do oddania na 2019r (prosze nie pisac o S11 bo już wtedy były plany o których pan wiedział i planami do dzis zostaja, bez jakichkolwiek konkretnych terminow) Skrzyzowanie pochłoneło kolejne ludzkie dramaty (prosze sprawdzić ile było wypadków, stłuczek, a ile nawet nie zgłaszanych. Dlaczego o tym piszę, bo zawsze pan szczyci się prawdomównościa, solidnością itp, a jednak trochę w tym przypadku wyszło na bakier. Dziwi mnie też, że w tym rejonie mieszka pani prezydent i na tak oczywisty problem nie reaguje i pozwala na usunięcie juz przygotowanego zadania. Dla potwierdzenia obietnicy dla mieszkanców tego rejonu przykładowo jeden z pana wpisów. https://www.krzysztofturzanski.pl/2018/10/inwestycje-drogowe-w-toku/#comments na początku grubymi literami jasna deklaracja. Proszę porównac ile pieniążków wpłyneło do kasy miasta ze sprzedaży działek w tym rejonie, ile wpływa z oplat juz zakonczonych nowych inwestycji a ile panstwo wpakowaliście w ten rejon, czy naprawdę nie można było jak pisał pan w 2018r rozwiązać problemu obwodnicy, na lata, bo widac że o problemie pan wie i pieniążki, plany już były przygotowane, co się z nimi stało, kto zadecydował o porzuceniu tej inwestycji i do dziś nic w temacie nie zrobiono, a wg pana słów juz ponad dwa lata powinnismy jezdzić tym newralgicznym punktem z ułatwieniami i bezpiecznie. ( a co będzie jak ruszy ruch do powstałych już hal i nowych inwestycji które jeszcze się budują) Ten fragment Piekar zasilił i zasila bardzo miejską kasę, szkoda że decydenci chociaż ułamka tej kwoty nie przeznaczyli ( a nawet zabrali z juz przygotowanego planu) dla poprawy życia mieszkanców obecnych i przyszłych tej okolicy.

mieszkaniec
mieszkaniec
4 lat temu
Reply to  Siano

Bonifikaty to mają firmy . Cena pod hale i np dino było ok 100 zł m2. Obecne władze Piekar wolą Radzionków i Nowe Chechło . Poseł też do Tarnowskich Gór wyemigrował. Ciekawe gdzie podatki płacą

Kamień
Kamień
4 lat temu

Czy miasto posiada jeszcze jakieś działki pod zabudowę jednorodzinną w Brzozowicach-Kamieniu? Jeśli tak, to czy planowane są przetargi w przewidywalnej przyszłości?

biedrona
biedrona
4 lat temu

Odnośnie tego rejonu od strony ulicy Pod Lipami znajduję się przepompownia – ktoś przy niej wyrzucił całą stertę śmieci. Czy miasto podjęło już jakieś działania mające na celu ustalenie sprawców oraz uprzątnięcie terenu?

biedrona
biedrona
4 lat temu

od dobrego tygodnia pracownicy wodociągów Piekary prowadzą tam prace, naturalnym jest, że widząc taką ilość śmieci na ich terenie powinna zainteresować kogoś od nich

Robert
Robert
4 lat temu
Reply to  biedrona

A co? Sam nie możesz tego uprzątnąć? Jesteś społeczniakiem to schowaj swoje śmieszne roszczenia do kieszeni i pokaż się w czynach, a nie tylko narzekać i wymagać od innych

Emil
Emil
4 lat temu

Dla wszystkich zainteresowanych spoza Piekar. Bardzo blisko tych działek będzie przebiegała trasa S11 w miejsce obecnej 911, tak że, jeśli lubicie hałas od rana do nocy, serdecznie zapraszamy 😀 Już teraz jest bardzo duży hałas, a Pan który wrzucił ów ogłoszenie sam wyemigrował z tego miasta, taka sytuacja 😉 A hala magazynowa owszem stoi… pusta, istne Eldorado Xd

P Śl
P Śl
4 lat temu
Reply to  Emil

Ale pan co wyemigrował nie mieszkał blisko, za to pani koleżanka tego pana mieszka kilkadziesiąt metrów od tych działek. No chyba, że też wyemigrowała? A tak nawiasem mówiąc to z tego co mi się obiło o uszy to mają budować obwodnicę Świerklańca, nawet ostatnio była afera, że zastanawiali się nad wariantem przebiegającym między domami, a jeziorem. Poza tym chcą też zdaje się łączyć S11 z węzłem w Pyrzowicach,więc w rejonie Chechła może być jeszcze weselej.