2021-12-19
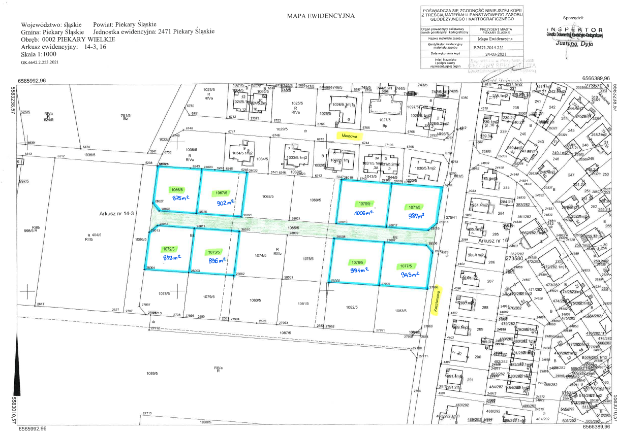
3 miliony złotych ze sprzedaży działek pod domy
Kiedy napisałem, że sprzedajemy działki budowlane w komentarzach zawrzało. Cena zabójcza! Nie dla zwykłego śmiertelnika. Blisko S11 – tylko dla tych co lubią hałas. Hala magazynowa pusta – istne Eldorado Xd. Jednym słowem wszystko źle i bezsensu.
A tu taka niespodzianka. Cena wyjściowa chyba nie było za wysoka, bo nie dość, że sprzedały się wszystkie działki, to każda za o wiele wyższą cenę. Za łączną sumę 3 milionów złotych. Ponad 400 zł za m2. Czasami, mam wrażenie, że Piekary Śląskie są bardziej doceniane przez mieszkańców innych miast, którzy widzą potencjał naszego miasta, dostrzegają i doceniają zmiany jakie przechodzi. A może po prostu w komentarzach najgłośniej krzyczy niewielka grupa malkontentów?
Tak czy inaczej 3 miliony złotych zasili budżet Piekar Śląskich, a w przyszłości wpłynął także podatki z nowych domów. Pieniądze te przeznaczymy na dalsze inwestycje w rozwój naszego miasta.
Komentarze
Uwaga! Dyskusja jest moderowana raz dziennie (zwykle rano) - komentarze nie pojawiają się od razu w momencie publikacji. Komentarze nie związane z tematem posta, obraźliwe, wulgarne nie są publikowane. Jeśli nie widzisz swojego komentarza sprawdź MOJE ZASADY i REGULAMIN
O Panie, skąd taka cena?
Bo działek jest coraz mniej.
Dzisiaj budować dom na kredyt staje się nie możliwe.
Ceny działek nawet we wsi poszły do góry, dewelopery kupują wszystko co popadnie,
Zabawne jest to jak deweloper buduje np. Szeregówkę z widokiem na las lub pole ,sprzeda wszystko i za chwilę przed tymi domami z widokiem buduje kolejne szeregówki znów z widokiem … a ci co kupili domy mają widok na garaz nowego sąsiada.
Ps. Sprzedam działkę w Myszkowicach .
400 zł netto za m2, czyli działka 1000 m2 prawie 500 000 brutto ?
w którym miejscu na bip znajdziemy wyniki przetargu
Komisja przetargowa ma 40 dni na ogłoszenie wyników ….
Tak dziwnie bo to nie był konkurs ofert a licytacja.
A ja nawet nie czasami mam wrażenie że Turzanski bardziej docenia mieszkańców innych miast niż piekarzan.
dyć to chop z chorzowa co tera mieszko w nowym chcechle, z romansem z piekarami na lipce
Szanowny Panie Prezydencie,
Działki, o których Pan pisze zostały kupione w większości przez developerów. Zwykli mieszkańcy nie mieli szans przebić się z ceną z developerami, którzy wybudują domki szeregowe na tych działkach i jeszcze sporo na tym zarobią.
Co do inwestycji, o których Pan pisze proszę pamiętać między innymi o ulicy Złotej -cały czas czekamy na asfalt – mieszkam tu już prawie 10 lat – zimą mamy dziury na ulicy i błoto, w pozostałe miesiące kurz albo błoto. Droga nie jest wyasfaltowana.
Niektórzy się przebili. Natomiast developer wybuduje domy, w których zamieszkają nowi mieszkańcy. Tak czy inaczej wygrywa miasto.
3 mln za 8 działek to średno po 375 tys za parcelę. To cena absurdalna za nieuzbrojone 8 arów.
Miasto na tym zyskuje. To był przetarg, zdecydował wolny rynek
Kiedyś interesowalem się dzialkami …w Mrzeżynie. Doszło tam do takiego absurdu, że 1 ar wyceniono na 100 tys zł bo w poprzednim przetargu developer kupił grunt w pasie wydmowym pod hotel (Zalewski) dając kosmiczne pieniadze. W następstwie gmina wystawiając kolejne grunty na przetarg wyciągala średnią cenę z poprzednich ….i spirala się nakręcila do absurdalnych kwot. 7 arów za 700 tys.
Wszystko wskazuje że idziemy w tym samym kierunku?
Proponuję odrolnić dabrowkę i kozłową górę, zmienić plan zagospodarowania i będziemy mieć miasto milionerów
Byle nie zrobił z tego miejsca takiego badziewia jak obecnie jest na osiedli “Na lipce”… Brak parkingów, drogi w SM Piekary, co etap to inne budynki, zero spójności. Miasto ma wpływ na plany zagospodarowania!
Ulica złota jest zniszczona już bardzo długo ponieważ trwały tam budowy domków jednorodzinnych więc nie ma się co dziwić że ta ulica tak wygląda ale jak by tak się złożyć ze sąsiadami to by już dawno było inaczej ale tam każdy robi sobie obok domu kamyczki i chodniczki a ulica bój się Boże masakra
Szanowny Panie,
droga nie należy do właścicieli działek tylko do Miasta. Natomiast położenia przez Miasto Piekary Śląskie asfaltu mieszkańcy tej ulicy będą również partycypowali w kosztach (jest to tzw. opłata adiacencka). Na co oczywiście wyraziliśmy zgodę kupując działki w przetargu od Gminy.
Super, ekstra, nadzwyczajnie. I na co pójdą te 3mln zł? Na zmniejszenie długów szpitala? Pewnie nie, bo to teoretycznie wina NFZ, a nie nieskazitelnych władz Piekarskich. To może, na może na dopłatę do śmieci? A nie, bo przecież śmieci to przykrywka dla dochodów miasta. Wieeeeeem. Zorganizujmy jakiś bieg, oooooo. To będzie super. I najlepiej mordowanie, w kałuży pod urzędem miasta, żeby było też coś dla vice.
Brak wiedzy i ignorancja powodują takie komentarze. Dochody majątkowe uzyskane ze sprzedaży gruntów nie mogą być przeznaczone na wydatki bieżące (czyli w uproszczeniu na koszty utrzymania). Innymi słowy nie mogą być ani na szpital, ani na śmieci, ani na bieg. Ale zostaną przeznaczone na inwestycje.
Jak juz jestesmy przy S11, Mam ważne pytanie : Czy Piekary Slaskie maja rozwiazanie na to aby kończąca sie S11 w naszym miescie nie stała w korku . Czy są plany na drożną droge do katowic ktora przejmie ruch z S11?
Jesli nie ma to Ci biedni co kupili działki bedą wdychać spaliny stojacych w korku samochodow w strone katowic..Panie Krzysztofie czy miasto widzi ten problem i rozmawia na poziomie metropoli ?
Problem jest poważny na poziomie GDDKiA. Plany nie uwzględniają rozwiązywania problemów lokalnych. Zwróciliśmy się do parlamentarzystów, przedstawiliśmy warianty rozwiązania problemu. Problem w tym, że dziś jest tylko “korytarz” i koncepcja. Jeszcze nawet projektu nie ma.
Ok , to jako mieszkaniec prosze o eskalacje tego problemu i ponowne zwrócenie uwagi moze tym razem w metropoli i wspólną eskalacje w GDDKiA. Jesli nie bedzie tego połaczenia na czas grozi nam mieszkańcom paraliz komunikacyjny w miescie i w docieraniu do innych miast .
Panie Krzysztofie. Jeżeli nie ma projektu … to może jednak zrobimy rondo na 911 z ul. Pod lipami?
Bo zanim powstanie s11, a może wogole nie powstać, to może zróbmy coś żeby odkorkowac podmiejską.
Chcemy złożyć wniosek o środki na ten cel w kolejnym naborze rządowym
Przypomnę tylko, że pieniązki już były na ten cel, były konkretne pana deklaracje z datą wykonania na 2019r i …. ucichło.Pieniążki się rozeszły w inny rejon a nam zostało znów liczyc na … sam nie wiem, tym razem na rząd. https://www.krzysztofturzanski.pl/2018/10/inwestycje-drogowe-w-toku/#comments na początku grubymi literami jasna deklaracja co do ronda.
Te deklaracje były składane 4 dni przed wyborami. Przed wyborami 2023 na tej samej liście zamiast ronda będzie basen, dam se coś obciąć za to 😉
To, że się sprzedało to nie znaczy, że nie jest to “Cena zabójcza! Nie dla zwykłego śmiertelnika.” Bliskość S11 nie przeszkadza? A wiadomo kto to kupił, może jakiś inwestor? Zatają ten fakt, opchną jeleniom i niech się martwią wiadomo, że droga jeszcze długo nie powstanie. Podobnie jak to robią podobno na Bańgowie. Budują osiedle, zablokowali budowę cmentarza, sprzedadzą będą mogli budować cmentarz.
W punkt
Panie Krzysztofie, a ile z tego zostanie zainwestowane w ten fragment Piekar ? Ile zostało zainwestowanych pieniążków z poprzednich sprzedaży (Miodowa, Złota, Kawalca) Nie ma tu nic dla mieszkańców, ulica Chopina jak “tarka”, obiecanego kilka lat temu ronda na obwodnicy – brak ! ech, szkoda nawet pisać. Panie Krzysztofie tu też mieszkaja już ludzie. Nic nie mam przeciw rozbudowie, ale niech za tym ida też inwestycje dla tego rejonu, bo już dziś bardzo trudne i niebezpieczne jest włączanie się na obwodnicę, a będzie z tymi i następnymi zabudowaniam tylko gorzej. Jest pan dumny z takich zysków, więc proszę, skoro tyle stąd wpływa do miejskiej kasy (przetargi, podatki), niech pan tez spojrzy na nas nie łaskawym, ale proporcjonalnie sprawiedliwym okiem względem całości Piekar, to wystarczy. Brać, ale też sprawiedliwie dzielić i dawać. Pozdr
Chopie tera bydzie cud gospodarczy pis sypnie kasom. Tera trza wybrać prezydenta z gorki – np z Szopena to bydzie droga zrobiono bo trza bydzie nowy lajtong wybudować a przy okazyji nowo droga. Tak było z Kasztanowom jak wybrali obecno prezydentka. Grunt pod hala sprzedali za milion i to hektar a tu 3 milony za 8 działek. Cysty cud